DMA: An Opportunity for Work of
Mercy.
Paul of Sg Apong A Picture Tells A 1000 Words
(A Hard Core Catholic family
living in our midst)
Shalom my friends !
We have been talking about
doing Work of Mercy (WOM) on top of our daily Divine Mercy Devotion.
Let us make a Christmas
that will be remembered and cherished for a long time.
Paul Bong is 67 years old
and works as a security guard years before.
Paul has two sons,
the eldest son is around 27
years old, he and his wife had been absentee parents to their four children
aged between 3 to 7 years old (2 boys, 2 girls).
Paul’s younger son is
studying in transition class at a nearby school.
His wife of 50+ (Mary Lim)
works as an office cleaner years before and she suffered from a stroke recently
and was unable to walk and is restricted to a wheelchair.
Paul has exhausted all his
savings as a result of this misfortune that has befallen upon him. To
make ends meet, Paul fish in the nearby river at Sg
Apong and he makes around rm150 per month. The family supplements their
daily diet from the fish that Paul caught. On top of that, he sends two
of his older grandchildren to a nearby kindergarten. I believe that our
church through the nuns (i think) gave him a bag of rice every month.
Since the launching of the mobile soup kitchen by our church about one
and half month ago, he has received his daily ration of packed lunch from them.
More recently the good news is through an NGO, Breakthrough from the
Methodist church, they have more or less finalised
his application to get some financial aid. This has been a tremendous
relief for him and his family. On top of that, well wishes who have come
to know his plight has come to his assistance in one way or another.
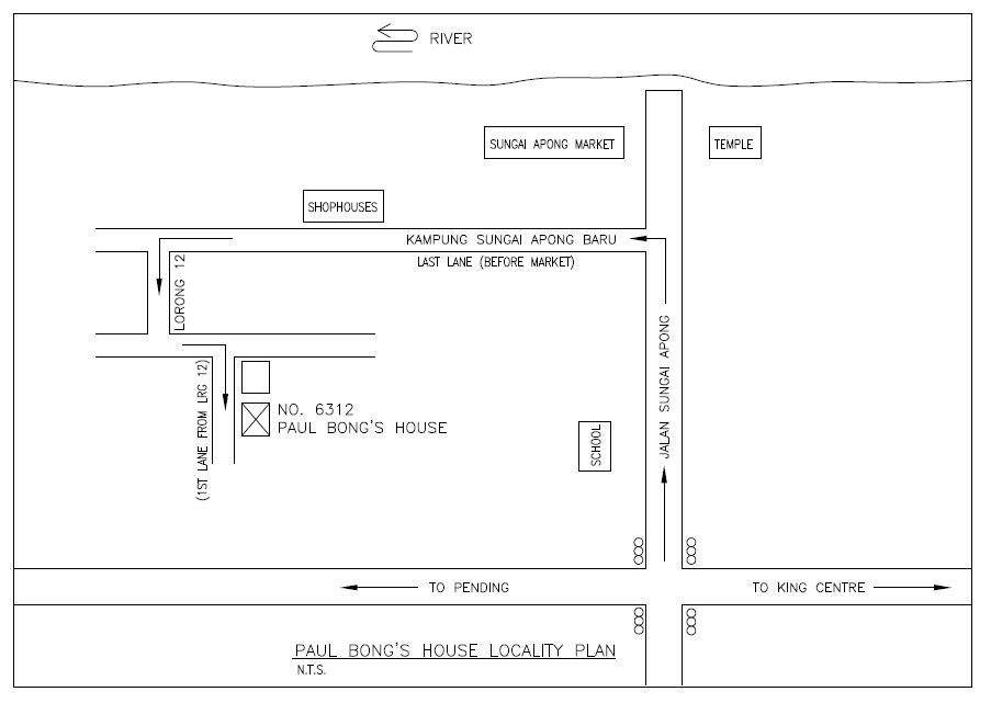
Paul's is living in the
resettlement area of Sungai Apong at Lorong 12, his
house is a basic cement house built by the government with no furnishing.
He is a born Catholic from Kota Samarahan
before. However, his wife has yet to know more about the Catholic faith.
She was very moved on an occasion where a Catholic retired nurse came
over to teach her physiotherapy and also to pray for her. She wept
for joy that indeed Jesus is alive and is healing her spiritually of her
brokenness.
DMA WOM #1
Paul and wife (seated) with 4 grand children
Who: Paul
Bong and family. (2 Adults, 5 children)
When: Saturday 11 Dec 2010, after 3pm DMD.
Where: 6312 Lorong 12 Sg Apong, Kuching.
What to bring:
OLD CLOTHINGS –
Shirts,
Pants, Towels, Blankets, Used Children Clothing.
XMAS PRESENTS –
Christmas Joy
for kids.
Cooking oil,
Sugar, Salt, Rice, Biscuits,
USEFUL STUFF -
Soap, Old
Furniture, Table, Chairs, Story Books and Toys for the kids.

|
Program: (11/12/10) |
|
3.00pm DMD
at St Peter’s Church |
|
3.50pm Leave St Peter’s to Sg Apong |
|
4.15pm Give him all the clothing and stuff, Xmas presents, show your
compassion etc |
|
4.30pm Xmas
Carols |
|
|
|
4.45pm Home |
|
May God
bless you and family abundantly |
|
Michael |
|
15/11/10, 21/11/10, 13/12/10 |
|
Contact person: Cindy Teo
teosh36@gmail.com |